Ter. residenziale in vendita

Magenta, Via Domenico Cimarosa
€ 2.493.000
40362 Mq 40362 Mq

Ter. residenziale in vendita

Magenta, Via Domenico Cimarosa

Descrizione annuncio

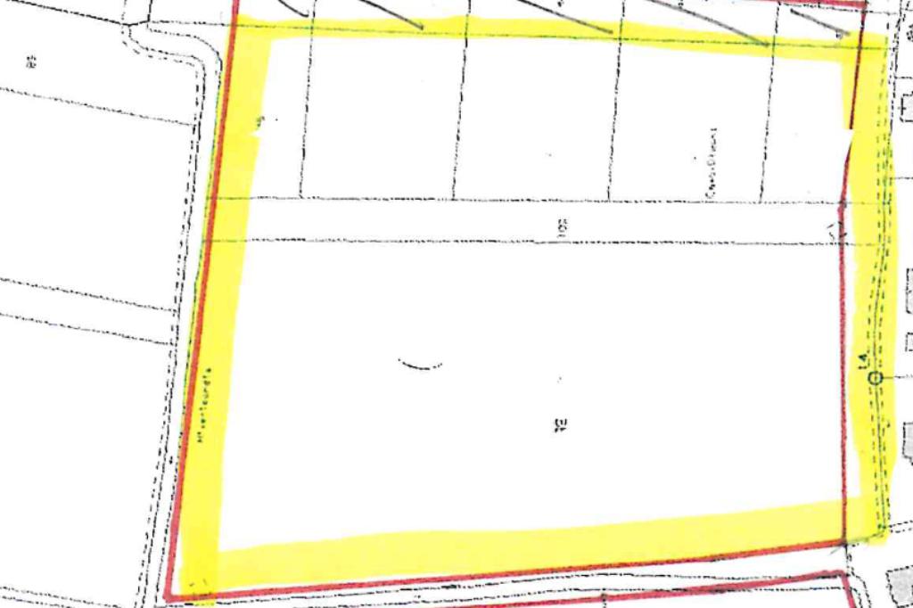
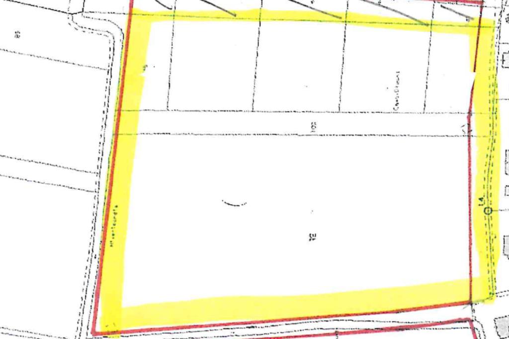
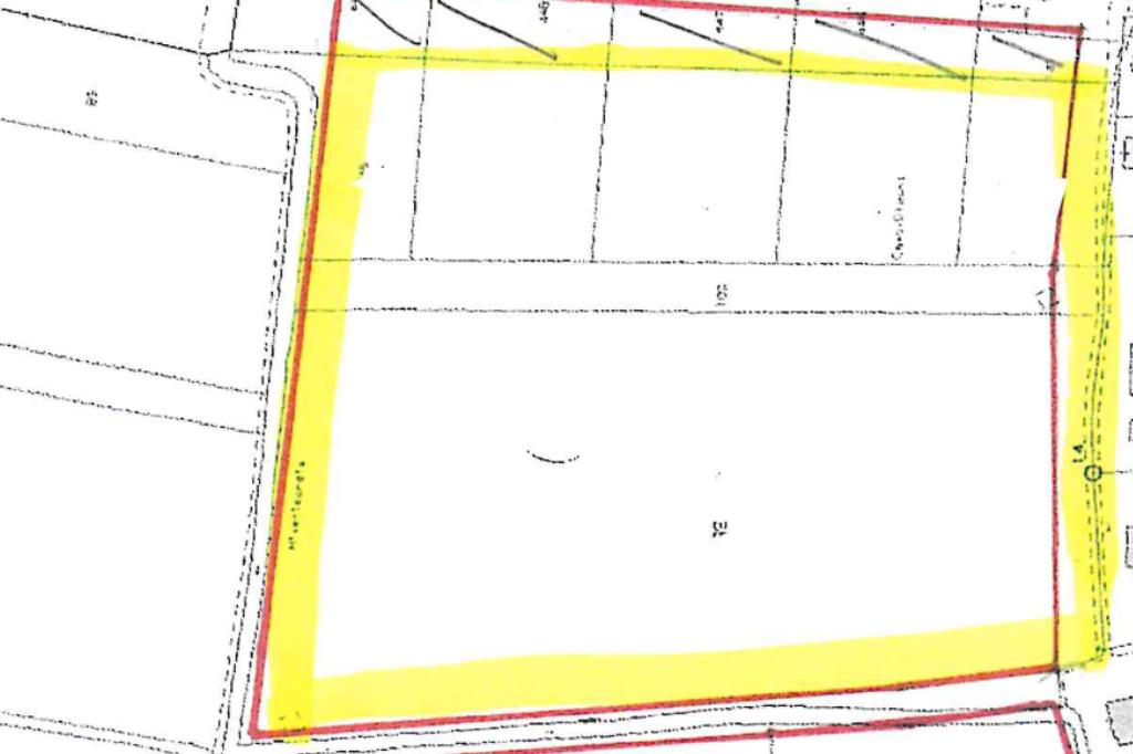
In zona residenziale e comoda per i principali servizi della città di Magenta e per i collegamenti urbani ed extraurbani verso Milano, area edificabile di circa 40.362 mq ideale per la realizzazione di un complesso condominiale con le seguenti potenzialità edificatorie:

LOTTO 1 MQ 31.726 - VOL MAX 37.800 MC - SLP MAX 12.690 MQ - MINIMO AREE PER SERVIZI (50%) 6.345 MQLOTTO 2 MQ 8.636 - VOL MAX 10.260 MC - SLP MAX 3.454 MQ - MINIMO AREE PER SERVIZI (50%) 1727 MQ

DESTINAZIONE D’USO: RESIDENZIALE E COMPATIBILI

Mostra tutto

Nelle vicinanze

Trasporto pubblico Trasporto pubblico
stazione di Magenta
stazione di Magenta
1,3 Km
Trasporto pubblico
300 m
Via Cavallari - Via Alighieri (Magenta)
Via Cavallari - Via Alighieri (Magenta)
940 m
stazione di Corbetta-Santo Stefano Ticino
stazione di Corbetta-Santo Stefano Ticino
2,1 Km
Ricariche auto elettriche Ricariche auto elettriche
U2 Supermercato Magenta | EnelX
1,4 Km
Marcallo Piazza Italia | EnelX
2,7 Km
Marcallo de Gasperi | EnelX
2,7 Km
Scuole Scuole
Liceo scientifico statale Donato Bramante
470 m
Scuola paritaria madre Anna Terzaghi
980 m
Scuola materna Gianni Rodari
1,0 Km
Liceo classico statale Salvatore Quasimodo
1,1 Km
Scuola elementare statale Edmondo De Amicis
1,1 Km
Farmacia Farmacia
Farmacia Rossini
430 m
Parafarmacia Sanitas 2
970 m
Farmacia Comunale 1
1,0 Km
Farmacia Comunale Nord
1,1 Km
Farmacia Cattaneo
1,1 Km
Ospedali Ospedali
Ospedale Giuseppe Fornaroli
250 m
Supermercati Supermercati
EuroSpin
580 m
Aldi
670 m
Esselunga
680 m
Tigros
690 m
Lidl
960 m
Negozi Negozi
CVG Gold
710 m
Anni verdi
810 m
GustaMi
860 m
Nuvola
860 m
Negozi
870 m
Bar Bar
10 Avenue
1,1 Km
Dolce vita
1,2 Km
Angolo Cafè
1,2 Km
Bar
1,2 Km
Finest Drink's Room
1,2 Km
Ristoranti Ristoranti
Mammato
340 m
Madreperla
410 m
Lo stecco
410 m
L'incontro
690 m
Il duetto
870 m
Mostra tutto

Caratteristiche

Rif.:
61128292
Piano:
Terra
Arredamento:
Assente
Condizionamento:
Assente
Ascensore:
No
Riscaldamento:
Assente
Mostra tutto
Prezzo Prezzo
€ 2.493.000
Rata mutuo Rata mutuo
€ 11.843 / mese
Spese annue Spese annue
€ 0
Proponi il tuo prezzoProponi il tuo prezzo

Classe Energetica

Questo immobile è esente da classe energetica
Riscaldamento:
Assente

Ti interessa visionare l'immobile?

Fissa un appuntamento  Fissa un appuntamento

Richiedi informazioni

Clicca su Leggi per aprire l'informativa
* Questi campi sono obbligatori

Calcola il tuo mutuo

Semplice e senza impegno
Anticipo

( % )
Mutuo

( % )

pochi semplici passi

inserisci i tuoi dati
Questionario completato
Grazie per aver richiesto un appuntamento senza impegno con un nostro Consulente del Credito e Assicurativo.

Hai inserito correttamente tutti i dati necessari e a breve riceverai una e-mail con un link da convalidare per inviare i tuoi dati.
Affiliato
Impresa Trade Srl
Via Roma, 116 20013 Magenta (MI)

Il nostro staff


  • Giorgio Lovati
    Responsabile

  • Alice Cantoni
    Coordinatrice

  • Alain Fabrizio Rizza
    Collaboratore

  • Carmela Santoiemma
    Coordinatrice
Via Roma, 116 20013 Magenta (MI)
Zona: Magenta-Boffalora S/T
Mostra su mappa
Orari: Lunedì / Venerdì 09.00/12.30 e 15.00/19.30 - Sabato chiusura h.18.00 - Domenica su appuntamento
Affiliato
Impresa Trade Srl
Via Roma, 116 20013 Magenta (MI)

2026 Tecnocasa Franchising S.p.A. - P. IVA 08365160152 - Via Monte Bianco 60/A 20089 Rozzano (MI). Ogni agenzia ha un proprio titolare ed è autonoma. Privacy policy | Policy utilizzo | Cookie policy